O rio de Mato Grosso do Sul que abriga peixes imensos e maiores do...
Carinhosamente apelidados de “monstros do rio”, peixes que habitam as águas da região se destacam por tamanhos acima da média Mais uma máquina do Rio Dourados“....
Defesa Civil confirma 3 desaparecidos em São Paulo após chuvas
Dois casos foram em Campinas e 1 em Jandira; centro de emergências climáticas alerta para a continuidade dos temporais
A Defesa Civil de São Paulo...
Fãs, familiares e amigos se despedem de Maguila em velório na Alesp
Viúva conta que lutador sofreu 18 anos com a encefalopatia traumática O velório do ex-pugilista José Adilson Rodrigues dos Santos, o Maguila, foi realizado durante...
Brasil é o 4º país no mundo em geração de empregos verdes no setor...
Mercado brasileiro empregou cerca de 264 mil profissionais ao longo do último ano, ficando atrás somente da China, Índia e Estados Unidos A pujança do...
Esquerda avança em 135 cidades que apoiaram Bolsonaro em 2022
Mudança política reflete realinhamento após a eleição presidencial, com PSB, PDT e PT ganhando força em redutos bolsonaristas As eleições municipais de 2024 trouxeram um...
36.000 continuam sem energia em São Paulo, diz presidente da Enel
Segundo Guilherme Lencastre, o serviço foi “integralmente restabelecido” e o número é próximo à operação normal
O presidente da Enel São Paulo, Guilherme Lencastre, disse...
Deolane Bezerra e Lucas Paquetá depõem à CPI das Apostas no fim de outubro
Presidente da CPI da Manipulação de Jogos e Apostas Esportiva do Senado Federal, Kajuru, espera obter materialidade nos depoimentos Deolane Bezerra, influenciadora digital e advogada,...
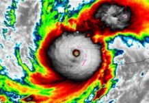
Furacão Milton é rebaixado para a categoria 2
Tempestade atingiu a Flórida por volta das 21h30 desta 4ª feira (9.out.2024); foram registrados ventos próximos a 190 km/h
O furacão Milton foi rebaixado pelo...
PF investiga incêndios criminosos no Pantanal
Suspeitos teriam ateado fogo em 30.000 hectares em Corumbá (MS); Operação Arraial São João teve início nesta 5ª feira (10.out)
A PF (Polícia Federal) deflagrou...
Furacão Milton é elevado à categoria 5 nos EUA
A tempestade se fortaleceu no Golfo do México; deve atingir a costa da Flórida na 4ª feira (9.out)
O NHC (Centro Nacional de Furacões dos...
















